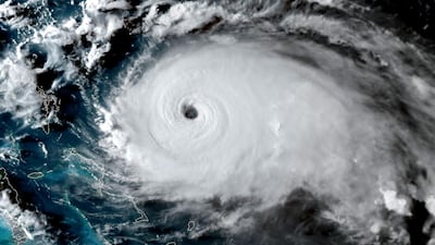
Hurricane Dorian bore down on the northern Bahamas on Saturday with howling winds, surging seas and a threat of torrential rains, forcing some evacuations and hotel closures before the fierce Category 4 storm.
Forecasters expected Dorian, packing 240kph winds, to hit some Bahamian islands on Sunday before heading near Florida and then skirting the US Southeast coast. The projected turn north in the coming days could spare the US a direct hit, but would still threaten Florida, Georgia and the Carolinas with powerful winds and rising ocean water that could cause potentially deadly flooding.
In the Bahamas, tourists were sent to government shelters in schools, churches and other buildings offering protection from the storm while residents were evacuating.
"My home is all battened up, and I'm preparing right now to leave in a couple of minutes. … We're not taking no chances," said Margaret Bassett, a ferry boat driver for the Deep Water Cay resort. "They said evacuate, you have to evacuate. It's for the best interests of the people."
Over two or three days, the hurricane could dump as much as 1 metre of rain, unleash devastating winds and whip up a dangerous storm surge, said private meteorologist Ryan Maue and some of the most reliable computer models.
Bahamas Prime Minister Hubert Minnis warned that Dorian is a "dangerous storm," saying that people "who do not evacuate are placing themselves in extreme danger and can expect a catastrophic consequence".
Government spokesman Kevin Harris told The Associated Press that the hurricane was expected to affect about 73,000 residents and 21,000 homes. He said authorities had closed airports in The Abaco Islands, Grand Bahama and Bimini, but Lynden Pindling International Airport in the capital of Nassau would remain open.
Small skiffs rented by authorities ran back and forth between outlying fishing communities and McLean's Town, a settlement of a few dozen homes on the eastern end of Grand Bahama island, about 240 kilometres from Florida's Atlantic coast.
Most were coming from Sweeting Cay, a fishing town of a few hundred people that is about 1.5 metres above sea level and was expected to be left completely underwater.
A few fishermen planned to stay, which could put them in extreme danger. "Hoping for the best, that the storm passes and everybody is safe until we return home," fisherman Tyrone Mitchell said.
Jeffrey Allen, who lives in Freeport on Grand Bahama, said he has learnt after several storms that sometimes predictions don't materialise, but it's wise to take precautions.
"It's almost as if you wait with anticipation, hoping that it's never as bad as they say it will be. However, you prepare for the worst nonetheless," he said.
The storm-prone Bahamas archipelago on average takes a direct hit from a hurricane every four years, officials say. Construction codes require homes to have metal reinforcements for roof beams to withstand winds into the upper limits of a Category 4 hurricane, and compliance is generally tight for residents who can afford it. Poorer communities typically have wooden homes and are generally lower-lying, placing them at tremendous risk.
After walloping the northern Bahamas, Dorian was expected to dance up the US Southeast coast, staying just off the shores of Florida and Georgia on Tuesday and Wednesday before skirting South Carolina and North Carolina on Thursday.
South Carolina Gov Henry McMaster declared a state of emergency on Saturday, mobilising state resources to prepare for potential storm effects. President Donald Trump already declared a state of emergency.
The National Hurricane Centre in Miami stressed that Dorian could still hit Florida, where millions of people have been in the storm's changing potential path. But after days of predictions that put the state in the centre of expected landfalls, the hurricane's projected turn northeast was significant.
Carmen Segura said she had installed hurricane shutters at her house in Miami, bought extra gas and secured water and food for at least three days. She feels well prepared and less worried given the latest forecasts but was still uneasy given the storm's unpredictability.
"Part of me still feels like: So, now what?" Ms Segura said.
Florida Gov Ron DeSantis warned residents along the state's Atlantic coast, "We're not out of the woods yet." He noted some forecast models still bring Dorian close to or even on to the Florida peninsula.
"That could produce life-threatening storm surge and hurricane force winds," DeSantis said. "That cone of uncertainty still includes a lot of areas on the east coast of Florida and even into central and north Florida, so we are staying prepared and remaining vigilant."
He said he spoke with Trump, who pledged any help Florida needs.
Some counties in Florida told residents of barrier islands, mobile homes and low-lying areas to be ready to flee in the coming days.
The storm upended some Labour Day weekend plans: Major airlines allowed travellers to change their reservations without fees, big cruise lines began rerouting their ships and Cumberland Island National Seashore off Georgia closed to visitors. Disney World and Orlando's other resorts held off announcing any closings.
Sherry Atkinson, who manages a hotel on North Carolina's Outer Banks, said the hurricane wasn't spoiling holiday vacations for guests. "So far, there hasn't even been a snippet of conversation about evacuations," she said.
Early Saturday evening, Dorian was centred about 245 kilometres east of Great Abaco Island in the Bahamas and 540 kilometres east of West Palm Beach as it moved westward at 13kph.
A portion of Florida's east coast was placed under a tropical storm watch on Saturday, with winds of 63 to 118kph possible within two days.
Some islands in the Bahamas remained under a hurricane warning, with winds of 119kph or greater expected.
"We ask for God's guidance and for God to assist us through this," the prime minister said.








